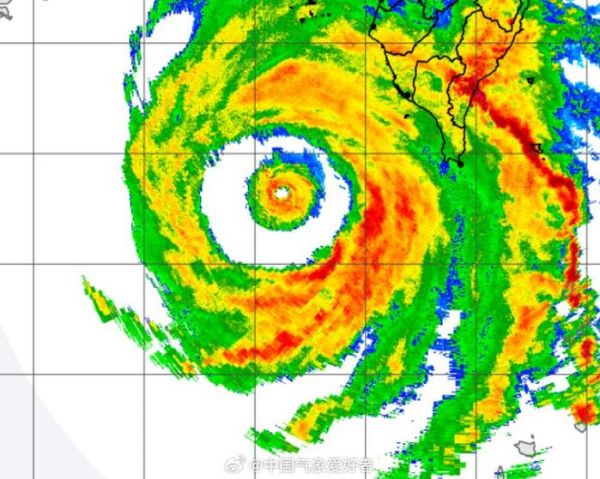
19点10分的雷达图显示……
来源: 时间:2023年07月27日 22:49
#台风杜苏芮# 19点10分的雷达图显示,杜苏芮的台风眼、内眼墙和外眼墙已经全部呈现正圆形,它是一个货真价实的超强台风了

相关知识
原创 朝韩区出现“不明飞行物”!雷达显示若隐若现,结果已经被证实
华为发布4D成像雷达等汽车智能化部件 今年业务研发投入10亿美元
俄罗斯计划在北极地区部署新型防空雷达
中国新型舰载雷达功率高达30兆瓦,为什么
F22和F35在中俄新雷达面前不再隐身?外媒:有可能
意大利10号10分进球!力压传射国米中场当选MVP
著名指挥家陈燮阳执棒中国交响乐团,国家大剧院这台顶级音乐会在线看
程霄第一次机长飞行 顾南亭给她打90分:还有10分进步
瓜迪奥拉:12连胜领先10分还不够 还有42分要争
为进一步满足大兴机场运行需求 北京区域管制中心雷达管制席位扩容
网址: 19点10分的雷达图显示…… http://www.shhpp.com/newsview154465.html
推荐社会
- 1王灿前夫 王灿的第一任老公 8297
- 2包养百位嫩妹一夜9女,台湾富 6776
- 3猎艳?猎物!男子出国猎艳被间 4565
- 4这个打架子鼓的王安宇也太帅了 4405
- 5神仙选手!16岁全红婵已跳出 4028
- 6圆桌|从人和故事出发,谈谈推 3870
- 7读刘慈欣的《三体》:技术统治 3804
- 8真希望他们只是万千寻常人家中 3613
- 9导播:人都到齐了,来个大杂烩 3435
- 10孟子义李昀锐《奔跑吧》路透曝 3174
社会热点排名
