社会八卦 - 社会
王楚然性感出场
2023年07月27日 22:49
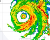
19点10分的雷达图显示……
2023年07月27日 22:49
台风来漳州之前天空是这样的!壮观不?
2023年07月27日 22:24
杜苏芮最新情况,当前27号晚20点多,比上午移动了一点点……
2023年07月27日 22:24
整个人僵住20秒,美参议院共和党领袖发言时突现异常,曾因脑震荡住院
2023年07月27日 21:59
震撼!歼20双机对冲交叉
2023年07月27日 21:59
尼日尔突发政变,中方表态
2023年07月27日 21:59
3.5%最后的盛宴:银行客户经理电话打到嗓子疼,保险经纪人刷爆“朋友圈”,社交媒体花式上演“焦虑贩卖”
2023年07月27日 21:59
普京会否访华?中方回应!
2023年07月27日 21:59
女孩请全球网友找“抛妻弃女”的生父,见面后才得知......
2023年07月27日 21:59
轰六-K队员披露“拂晓绕台”细节:对方逼近干扰,底气十足喊话驱离
2023年07月27日 21:59
赵寻@林允Jelly 拉开的窗帘又被彻底合死了!
2023年07月27日 20:52
姜王后和妲己水中这段真的是直接可以封神的程度……
2023年07月27日 19:40
台风杜苏芮进入24小时警戒线
2023年07月27日 19:40
杨幂刘恺威离婚,远不止夜光剧本那么简单,杨幂当年爱得有多卑微
2023年07月27日 19:40
歌迷花1400元在杨千嬅演唱会看水泥台阶?当事人:已退款,工作人员都笑了
2023年07月27日 19:39
杨幂也是隐藏的相声演员,这捧哏功底妥妥的德云社编外选手啊
2023年07月27日 19:39
木子洋承认恋情:刚刚在一起 还在进一步相处
2023年07月27日 18:52
怎么可以这么美
2023年07月27日 17:27
一骑讨!漂亮国老兵身先士卒,激励乌克兰新兵奋勇杀敌!
2023年07月27日 17:27
- 1王灿前夫 王灿的第一任老公 8297
- 2包养百位嫩妹一夜9女,台湾富 6776
- 3猎艳?猎物!男子出国猎艳被间 4565
- 4这个打架子鼓的王安宇也太帅了 4405
- 5神仙选手!16岁全红婵已跳出 4028
- 6圆桌|从人和故事出发,谈谈推 3870
- 7读刘慈欣的《三体》:技术统治 3804
- 8真希望他们只是万千寻常人家中 3613
- 9导播:人都到齐了,来个大杂烩 3435
- 10孟子义李昀锐《奔跑吧》路透曝 3174
社会热点排名
